Local Service Overview

Get Red Ant Extermination in The Colony, TX

Red Ant Extermination services for property owners in The Colony, TX, and nearby areas address pest infestations such as ants, termites, and roaches through residential and commercial extermination projects.

The Colony, TX

Red ant extermination services are an important consideration for property owners in The Colony, TX seeking to maintain a safe and comfortable environment. These services help eliminate invasive ant populations that can invade homes and outdoor spaces, reducing the risk of bites and potential contamination. By addressing ant issues promptly, property owners can enjoy a more functional living or working space, free from the nuisance and disruption caused by these pests. Additionally, professional extermination can contribute to the durability of a property by preventing damage that ants and other pests might cause to structures, wiring, or insulation.

Choosing expert pest control providers offers several benefits, including reduced maintenance needs and enhanced curb appeal. A pest-free property requires less ongoing effort to manage infestations, saving time and resources over the long term. Moreover, maintaining a clean, pest-free exterior can improve the overall appearance of a property, making it more inviting and visually appealing. Property owners in The Colony, TX can find reliable local pros who specialize in ant extermination to help preserve the safety, functionality, and attractiveness of their homes and businesses.

Get Red Ant Extermination Quotes

  • Red Ant Extermination services are needed when red ants invade residential or commercial properties in The Colony, TX and nearby areas. Ant control is essential for property owners experiencing persistent ant colonies indoors or outdoors. Insect removal services may be required in cases of large ant swarms disrupting daily activities. Pest management is advised when red ants threaten gardens, landscaping, or outdoor living spaces. Infestation treatment helps prevent damage caused by red ant colonies in local neighborhoods.

Get Red Ant Extermination Quotes

Red Ant Extermination
Red Ant Extermination
Red Ant Extermination

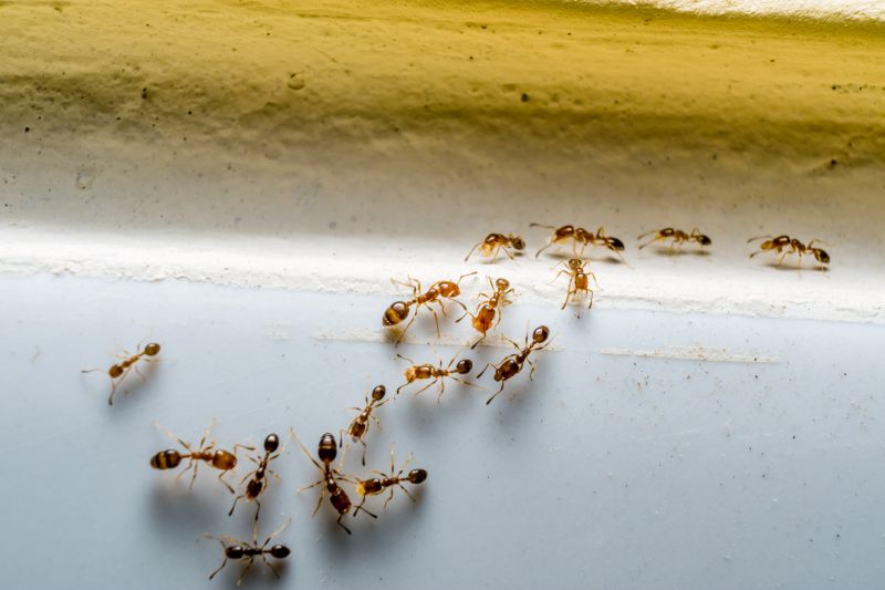
Red ant extermination services focus on identifying and eliminating red ant colonies that invade residential and commercial properties. These services typically involve thorough inspections to locate active nests and areas of infestation. Technicians then apply targeted treatments, such as baits, dusts, or liquid insecticides, designed to eradicate the entire colony, including the queen. The goal is to reduce or eliminate ant populations, preventing further invasions and damage caused by these persistent pests.

Red ants can pose various problems for property owners. They often invade kitchens, pantries, and outdoor spaces, contaminating food and surfaces. Their presence can also lead to structural issues if they establish nests within walls or under foundations. Additionally, red ants may bite or sting when disturbed, causing discomfort and potential allergic reactions. Effective extermination helps mitigate these issues by removing the colonies and discouraging future activity.

Properties that frequently utilize red ant extermination services include single-family homes, apartment complexes, restaurants, and retail stores. Residential properties often seek treatment to protect food supplies and outdoor living areas. Commercial establishments, especially those involved in food handling or customer service, prioritize pest control to maintain hygiene standards and prevent disruptions. Outdoor spaces such as gardens, patios, and landscaped yards also benefit from regular pest management to keep red ants at bay.

Engaging with local pest control professionals ensures that property owners receive tailored solutions for red ant issues. These specialists assess the specific conditions of each property, recommend appropriate treatment methods, and execute pest management plans designed to address the severity of the infestation. Regular inspections and maintenance can help prevent future red ant problems, maintaining a pest-free environment for both residential and commercial spaces.

The overview below groups typical Red Ant Extermination projects into broad ranges so you can see how smaller, mid-sized, and larger jobs often compare in The Colony, TX.

In many markets, a large share of routine jobs stays in the lower and middle ranges, while only a smaller percentage of projects moves into the highest bands when the work is more complex or site conditions are harder than average.

Initial Inspection - The cost for a thorough inspection of pest activity typically ranges from $100 to $300. Prices may vary based on the size of the property and the extent of the infestation.

Basic Treatment - Standard pest removal services usually fall between $150 and $400 per treatment. Larger properties or severe infestations can increase costs beyond this range.

Ongoing Maintenance - Regular pest control plans in The Colony, TX often cost $40 to $70 per month. These plans include scheduled treatments to prevent future infestations.

Specialized Services - Treatments for specific pests like termites or bed bugs can range from $500 to over $2,500, depending on the scope and complexity of the job.

Actual totals will depend on details like access to the work area, the scope of the project, and the materials selected, so use these as general starting points rather than exact figures.

Get a Red Ant Extermination Quote

Red Ant Extermination services are essential for property owners seeking effective removal of red ants from residential and commercial spaces in The Colony, TX and surrounding areas.

Local pest control providers specializing in red ant extermination offer targeted treatments to eliminate colonies and prevent future infestations.

Professionals in this field utilize various methods, including baiting and barrier treatments, to address red ant issues efficiently.

Red ant extermination services are often integrated into broader pest management plans for comprehensive property protection.

Contractors experienced in red ant removal can assess property-specific factors to recommend the most suitable treatment options.

Contacting local pest control experts ensures tailored solutions for red ant problems in various property types across the region.

Red Ant Extermination

When comparing Red Ant Extermination service providers, it is important to consider their experience in handling ant infestations. Pros with a strong track record often have extensive experience managing various types of ant problems, which can be an indicator of their familiarity with effective treatment methods. Homeowners may want to inquire about how long a contractor has been operating in the local area, as well as their familiarity with common ant species found in the vicinity, to ensure they are well-equipped to address specific concerns.

Clear communication and written expectations are key factors when selecting a service provider for pest control. Reputable pros typically provide detailed information about their process, what homeowners can expect during and after treatment, and any necessary preparations. Having these expectations outlined in writing can help prevent misunderstandings and ensure that the homeowner and contractor are aligned on the scope of work and desired outcomes.

References and reputation are valuable indicators of a contractor’s reliability and quality of service. Homeowners may want to seek out local recommendations, reviews, or testimonials from previous clients to gauge satisfaction levels. A well-regarded provider often maintains positive feedback within the community and can provide references upon request. Good communication throughout the process-such as prompt responses to inquiries and transparency about procedures-also contributes to a positive experience when choosing a local pest control professional for Red Ant Extermination services.

Get a Red Ant Extermination Quote

Property owners in The Colony, TX use Red Ant Extermination services for practical projects around their homes and businesses. The sections below highlight everyday jobs and straightforward project options.

Red Ant Extermination
Red Ant Extermination

Red ant extermination services are often sought by property owners in The Colony, TX who notice persistent ant activity around their homes or businesses. These ants can invade outdoor spaces, such as gardens and patios, and sometimes make their way indoors, creating nuisances for residents. Local pest control providers are typically contacted to assess the situation, identify ant colonies, and implement targeted treatments to eliminate the infestation and prevent future invasions.

Property owners may also seek red ant extermination after experiencing increased ant activity during warmer months or following heavy rains that can disturb nests. In addition to the inconvenience of ants crawling inside living or working spaces, some individuals may be concerned about potential damage to plants or structures caused by ant colonies. Local service providers can offer solutions tailored to the specific needs of properties in The Colony, TX, helping to manage and control red ant populations effectively.

Get a Red Ant Extermination Quote

How do pest control experts handle red ant infestations? Local pest control providers typically assess the extent of the infestation and apply targeted treatments to eliminate red ants from residential or commercial properties.

Are red ant extermination services safe for homes with children and pets? Many service providers use treatment methods designed to be safe for families, but it’s recommended to discuss specific concerns with the local pros when contacting them.

How long does red ant extermination usually take? The duration of treatment can vary depending on the severity of the infestation and the methods used; local professionals can provide more detailed information during consultation.

Will I need multiple treatments to fully eliminate red ants? Some infestations may require more than one visit or treatment, which local pest control providers can determine based on the situation.

What should I do to prepare my property for red ant extermination? It's advised to follow any specific instructions provided by local service providers, such as cleaning certain areas or removing food sources, to ensure effective treatment.

Red Ant Extermination Solutions - Local service providers offer targeted treatments to eliminate red ants and prevent future infestations.

Inspection and Identification - Pros can identify ant nesting sites and assess the extent of the infestation for effective removal.

Customized Treatment Plans - Experts develop tailored strategies to address specific red ant issues in residential and commercial properties.

Ongoing Prevention Advice - Service providers can recommend measures to reduce the likelihood of red ant re-infestation over time.

Red Ant Extermination

Considering Red Ant Extermination for a property in The Colony, TX? The sections above highlight common project types, practical options, and details that often shape the scope of work.

When you are ready, use the quote form to share a few details about your project. Local pros can review the basics and respond with options that match what you have in mind.

Get a Red Ant Extermination Quote

Red Ant Extermination Quotes

Our Trusted Partners
Cantu Pest Control
Orkin
Hawx Pest Control
Mosquito Shield