Local Service Overview

Get Ants Extermination Service in Mesquite, TX

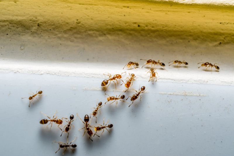
Ants extermination services for Mesquite, TX, property owners address ant infestations, prevent future invasions, and handle residential and commercial ant control projects.

Mesquite, TX

Ants extermination services are essential for property owners in Mesquite, TX seeking to maintain a comfortable and safe living environment. Effective pest control helps prevent infestations that can compromise the functionality of a property, ensuring that homes and businesses remain free from disruptions caused by ant activity. By addressing these issues promptly, property owners can enjoy peace of mind knowing that their spaces are protected from potential damage and health concerns associated with ant colonies.

Choosing professional ant extermination services also offers benefits related to durability and reduced maintenance. Proper extermination techniques help eliminate existing nests and prevent future invasions, which can enhance curb appeal by keeping properties looking well-maintained. Additionally, a pest-free environment minimizes the need for frequent treatments or repairs, supporting long-term property value and overall satisfaction.

Get Ants Extermination Service Quotes

  • Ants Extermination - Needed when ant colonies invade residential or commercial properties in areas like Mesquite, TX.
  • Ants Extermination - Suitable for addressing ant infestations that threaten food safety and cleanliness.
  • Ants Extermination - Recommended when ants are found nesting indoors or along foundation walls.
  • Ants Extermination - Essential for preventing future ant problems in yards and outdoor spaces near homes.
  • Ants Extermination - Used when ant activity persists despite basic cleaning and deterrent efforts.

Get Ants Extermination Service Quotes

Ants Extermination Service
Ants Extermination Service
Ants Extermination Service

Ants extermination services involve the identification and elimination of ant infestations within residential, commercial, or industrial properties. Professionals typically conduct a thorough inspection to determine the extent of the problem and locate nests or entry points. Treatment methods may include the application of targeted insecticides, baiting systems, or other pest control techniques designed to eradicate the colony and prevent future invasions. These services aim to effectively remove ants from the property while minimizing disruption to the environment and inhabitants.

Ant problems can lead to various issues, including property damage, contamination of food supplies, and increased discomfort for residents or employees. Certain ant species, such as carpenter ants, are known to cause structural damage by burrowing into wood, while others may be a nuisance due to their persistent presence and foraging behavior. Extermination services help address these concerns by reducing ant populations and implementing preventative measures to discourage re-infestation, thereby maintaining a cleaner and safer environment.

Properties that commonly utilize ants extermination services include homes, apartment complexes, restaurants, grocery stores, and office buildings. Residential properties often seek pest control to protect food storage areas and prevent damage caused by carpenter ants. Commercial establishments, especially those in the food service industry, prioritize pest management to meet health and safety standards and ensure customer satisfaction. Additionally, property managers and landlords may engage pest control providers to maintain the integrity of multi-unit buildings and common areas.

Engaging with local pest control professionals for ants extermination can provide tailored solutions suited to the specific needs of each property. These experts are equipped to handle different ant species and infestation levels, whether in a single-family home or a large commercial facility. Contacting a trusted service provider can help property owners and managers effectively manage ant problems, safeguard their premises, and maintain a pest-free environment.

The overview below groups typical Ants Extermination Service projects into broad ranges so you can see how smaller, mid-sized, and larger jobs often compare in Mesquite, TX.

In many markets, a large share of routine jobs stays in the lower and middle ranges, while only a smaller percentage of projects moves into the highest bands when the work is more complex or site conditions are harder than average.

Initial Inspection - The cost for an initial ant inspection typically ranges from $50 to $150, depending on property size and complexity. This fee often covers a thorough assessment to identify ant activity and entry points.

Perimeter Treatment - Treating the exterior perimeter of a home usually costs between $100 and $300. Prices vary based on the property’s size and the extent of ant infestation.

Interior Treatment - Interior ant extermination services generally range from $75 to $200 per visit. This includes targeted application in problem areas inside the home.

Ongoing Maintenance - Follow-up treatments or maintenance plans can cost $50 to $150 per session. These services help prevent future ant invasions and are tailored to property needs.

Actual totals will depend on details like access to the work area, the scope of the project, and the materials selected, so use these as general starting points rather than exact figures.

Get an Ants Extermination Service Quote

Ants Extermination - Local pest control providers offer targeted ant extermination services to eliminate colonies and prevent future invasions. They utilize proven methods to address ant infestations effectively.

Ant Control for Residential Properties - Service professionals assist homeowners in managing ant problems within homes and yards, ensuring a pest-free living environment. They customize treatments based on the specific ant species and infestation level.

Commercial Ant Pest Management - Businesses can connect with local pros to implement ant control solutions that minimize disruption and protect their premises from ant-related issues. These services help maintain a clean and pest-free workspace.

Outdoor Ant Barrier Treatments - Experts provide outdoor treatments to create barriers around properties, reducing the likelihood of ant entry and infestation. This approach helps safeguard gardens, lawns, and building exteriors.

Ant Infestation Inspection Services - Inspection specialists assess properties to identify ant activity and determine the extent of the infestation. Their evaluations guide effective treatment plans.

Preventative Ant Control Advice - Local providers offer guidance on reducing attractants and maintaining a pest-resistant environment. This preventative approach aims to keep ants from returning after treatment.

Ants Extermination Service

When selecting a professional for ant extermination services, experience is a key factor to consider. Local contractors often have extensive knowledge of common ant species in areas like Mesquite, TX, and surrounding communities, which can contribute to more effective treatment strategies. It’s beneficial to review the background of each service provider to understand their familiarity with local pest issues, ensuring they have a history of successfully managing ant infestations similar to what homeowners face.

Clear communication and setting written expectations are important aspects of a positive service experience. Reputable local pros typically provide detailed explanations of their treatment approaches, what homeowners can expect during and after the service, and any necessary follow-up steps. Having these details in writing helps establish transparency and allows homeowners to make informed decisions about their pest control needs.

Reputable references and reliable reputation are also crucial when choosing a pest control provider. Homeowners can seek out local pros with positive reviews or ask for references to verify their track record. Effective communication, including responsiveness and professionalism, often indicates a contractor’s commitment to quality service. Since the site connects users with local providers rather than performing the work itself, it’s important to evaluate each contractor’s credentials, experience, and reputation to find a trusted partner for ant extermination services.

Get an Ants Extermination Service Quote

Property owners in Mesquite, TX use Ants Extermination Service services for practical projects around their homes and businesses. The sections below highlight everyday jobs and straightforward project options.

Ants Extermination Service
Ants Extermination Service

Ants extermination services are often sought by property owners in Mesquite, TX, facing common household or commercial pest issues. Ant invasions can occur unexpectedly, especially during warmer months, leading to concerns about contamination of food, damage to structures, or simply an uncomfortable living or working environment. Local service providers can assist with identifying the source of the infestation and implementing effective removal methods to restore property comfort and cleanliness.

Many property owners seek ant extermination when noticing persistent trails or nests within their homes or yards. Common reasons include preventing further infestation, protecting food supplies, and avoiding potential damage caused by certain ant species. Professional extermination services in Mesquite can help address these issues efficiently, offering tailored solutions to fit the specific needs of each property.

Get an Ants Extermination Service Quote

How do ant extermination services work? Ant extermination services typically involve inspecting the property to identify ant entry points and nests, then applying targeted treatments to eliminate colonies and prevent future infestations.

Are the treatments safe for pets and children? Most professional ant extermination services use treatments that are safe when applied correctly; it is recommended to discuss safety concerns with the local service provider.

How long does an ant extermination treatment take? The duration of treatment varies depending on the extent of the infestation, but many services can complete the process within a few hours.

Will I need multiple treatments for a lasting solution? Some ant infestations may require multiple treatments to fully eliminate colonies and ensure long-term control, as advised by local pest control providers.

How can I prevent future ant problems? Local extermination services often recommend sealing entry points, maintaining cleanliness, and removing food sources to help prevent future ant issues.

Ant Control Solutions - Local pest control providers offer targeted treatments to eliminate ant colonies and prevent future infestations.

Inspection and Identification - Professionals can assess property conditions to identify ant species and determine the most effective extermination methods.

Preventative Strategies - Service providers recommend and implement barriers and sanitation tips to reduce ant attractants around homes and businesses.

Ongoing Monitoring - Experts provide follow-up services to ensure ant issues are fully resolved and do not reoccur.

Ants Extermination Service

Considering Ants Extermination Service for a property in Mesquite, TX? The sections above highlight common project types, practical options, and details that often shape the scope of work.

When you are ready, use the quote form to share a few details about your project. Local pros can review the basics and respond with options that match what you have in mind.

Get an Ants Extermination Service Quote

Ants Extermination Quotes

Our Trusted Partners
Cantu Pest Control
Orkin
Hawx Pest Control
Mosquito Shield