Local Service Overview

Get Ants Extermination Service in Hutchins, TX

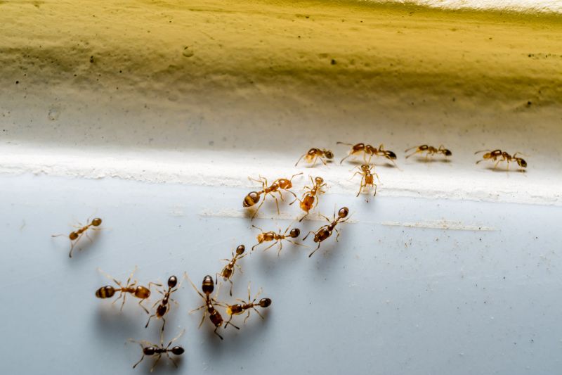
Ants extermination services for property owners in Hutchins, TX, and nearby areas address ant infestations, prevent future invasions, and handle residential and commercial ant control projects.

Hutchins, TX

Ants extermination services provide property owners in Hutchins, TX with effective solutions to manage and eliminate ant infestations. Addressing these pests helps improve overall comfort by preventing unwanted intrusions into living and working spaces. Additionally, professional extermination enhances safety by reducing the risk of ant-borne bacteria and potential property damage caused by certain ant species, supporting a healthier environment for residents and visitors alike.

Engaging with local ant extermination specialists also offers benefits related to property functionality and curb appeal. Removing ants helps maintain the integrity of structures and landscaping, reducing the likelihood of future issues and decreasing ongoing maintenance needs. A pest-free property not only looks more appealing but also preserves its durability, ensuring that outdoor and indoor spaces remain inviting and well-maintained over time.

Get Ants Extermination Service Quotes

  • Ants Extermination - Needed when ants invade residential or commercial spaces in Hutchins, TX and surrounding areas.
  • Ants Extermination - Essential for property owners dealing with persistent ant colonies in nearby neighborhoods.
  • Ants Extermination - Suitable for those experiencing ant problems in kitchens, pantries, or other indoor areas.
  • Ants Extermination - Recommended when ant activity is observed around the exterior of homes or buildings in the region.
  • Ants Extermination - Used to eliminate ant infestations that threaten the comfort and hygiene of local residences.

Get Ants Extermination Service Quotes

Ants Extermination Service
Ants Extermination Service
Ants Extermination Service

Ants extermination services involve the identification and elimination of ant colonies within residential or commercial properties. Professionals typically conduct a thorough inspection to locate ant nests and determine the species involved. Treatment methods may include the application of targeted insecticides, baiting systems, or barrier treatments designed to prevent ants from entering the property. These services aim to reduce ant activity and prevent future infestations, helping property owners regain control over their indoor and outdoor spaces.

Ant infestations can cause a range of problems for property owners. Beyond the nuisance of constant ant activity, some species can damage structures, contaminate food supplies, or trigger allergies in sensitive individuals. Ants often invade kitchens, pantries, and other areas where food is stored, making sanitation difficult. Exterminators address these issues by removing existing colonies and implementing preventative measures to minimize the risk of recurring infestations, thereby maintaining a cleaner and healthier environment.

Various types of properties utilize ants extermination services, including single-family homes, apartment complexes, restaurants, and retail establishments. Residential properties are frequently targeted due to the inconvenience and potential damage caused by ants. Commercial properties, especially those involved in food preparation or sales, seek professional help to ensure compliance with health standards and to prevent infestations that could disrupt operations. Ant extermination services are adaptable to different property sizes and types, providing tailored solutions based on the specific needs of each location.

Professional ant extermination services typically involve a combination of inspection, treatment, and prevention strategies. Service providers may recommend ongoing monitoring or periodic treatments to ensure long-term control. They also advise on property modifications or sanitation practices that can help reduce attractants for ants. Contacting local extermination specialists can provide property owners with effective solutions to manage ant problems, preserving the integrity and comfort of their spaces.

The overview below groups typical Ants Extermination Service projects into broad ranges so you can see how smaller, mid-sized, and larger jobs often compare in Hutchins, TX.

In many markets, a large share of routine jobs stays in the lower and middle ranges, while only a smaller percentage of projects moves into the highest bands when the work is more complex or site conditions are harder than average.

Initial Inspection Cost - Typically ranges from $50 to $150 for a professional assessment of ant activity and entry points. Example costs might be around $75 in Hutchins, TX. Prices vary based on property size and infestation severity.

Ant Extermination Service - The cost for treatment generally falls between $100 and $300 per service. Smaller homes may be closer to $100, while larger properties or severe infestations could reach $300 or more. Service providers often include baiting and spot treatments within this range.

Follow-up Treatments - Follow-up visits can cost between $50 and $150 each, depending on the complexity of the infestation. Some providers include follow-ups in initial packages; others charge separately based on the extent of ongoing issues.

Integrated Pest Management Packages - Comprehensive plans may range from $200 to $500, combining inspection, treatment, and follow-up. These packages are designed for extensive ant problems and may include ongoing monitoring services. Costs vary with property size and infestation level.

Actual totals will depend on details like access to the work area, the scope of the project, and the materials selected, so use these as general starting points rather than exact figures.

Get an Ants Extermination Service Quote

Ants Extermination - Local pest control providers offer targeted solutions to eliminate ant colonies and prevent future infestations in residential and commercial properties.

Ants Control for Homes - Professionals specialize in treating indoor and outdoor spaces to remove ants and safeguard living areas from recurring problems.

Commercial Ants Removal - Service providers deliver effective ant extermination services tailored to business environments to maintain hygiene and safety standards.

Outdoor Ants Treatment - Experts apply treatments to yards, gardens, and exterior structures to eradicate ant nests and protect property perimeters.

Ants Prevention Services - Local pros offer preventative measures and advice to reduce the likelihood of ant invasions over time.

Emergency Ants Extermination - Immediate response options are available from nearby providers for urgent ant infestation issues.

Ants Extermination Service

When selecting a professional for ant extermination services, experience is an important factor to consider. Local providers with a proven track record in handling ant infestations in Hutchins, TX, and surrounding areas can offer insights based on their familiarity with common pest issues in the region. Reviewing the length of time a service provider has been operating and their history of successfully resolving ant problems can help gauge their expertise. It’s beneficial to explore their reputation within the community through references or local reviews, which can provide perspectives on the quality of their work and reliability.

Clear communication and well-defined expectations are essential when working with a pest control service. Reputable providers typically offer detailed information about their methods, the scope of work, and any preparations needed before treatment. They should be transparent about the services they provide and willing to answer questions to ensure there are no misunderstandings. Establishing open lines of communication helps ensure that homeowners are informed throughout the process and that the service aligns with their specific needs.

Reputable local pros often have references or testimonials from previous clients in the Hutchins area, which can serve as valuable indicators of their dependability and service quality. It’s advisable to seek out providers with a history of positive feedback and consistent customer satisfaction. Good communication channels-such as responsive email or online contact forms-are also signs of a professional service provider committed to client needs. While the site introduces local options, it is important to remember that the selection and engagement are between the homeowner and the service providers themselves.

Get an Ants Extermination Service Quote

Property owners in Hutchins, TX use Ants Extermination Service services for practical projects around their homes and businesses. The sections below highlight everyday jobs and straightforward project options.

Ants Extermination Service
Ants Extermination Service

Ants extermination services are commonly sought by property owners in Hutchins, TX when they notice persistent ant activity around their homes or businesses. Common situations include discovering ants invading kitchens, pantry areas, or outdoor spaces, especially during warmer months. Property owners may also seek professional help after attempting DIY methods that fail to eliminate the infestation or when ants begin to spread into other parts of the property, causing inconvenience and concern.

In addition to immediate nuisance control, property owners in Hutchins might look for ants extermination services to prevent future problems. Ants can sometimes indicate underlying issues such as moisture problems or food sources attracting them to the property. Local service providers can assess the situation and recommend targeted treatments to help maintain a pest-free environment, supporting ongoing property maintenance and comfort.

Get an Ants Extermination Service Quote

How do ant extermination services work? Ant extermination services typically involve inspecting the property to identify ant entry points and nests, then applying targeted treatments to eliminate colonies and prevent future infestations.

Are ant extermination treatments safe for pets and children? Most professional ant treatments are designed to be safe when applied by experienced technicians, but it's recommended to follow any specific safety instructions provided by the service provider.

How long does an ant extermination treatment last? The duration of effectiveness varies depending on the treatment method and the extent of the infestation, but many treatments provide lasting control for several months.

What are common signs of an ant infestation? Signs include visible ant trails, the presence of ants indoors or outdoors, and small piles of dirt or debris near entry points or nests.

How can I prevent future ant problems? Preventive measures include sealing entry points, keeping surfaces clean, removing food sources, and scheduling regular inspections with local pest control providers.

Ants Identification and Prevention - Local pest control providers can assess your property to identify ant species and recommend effective prevention strategies.

Ant Extermination Techniques - Professionals utilize targeted treatments to eliminate ant colonies and reduce infestations around residential and commercial properties.

Inspection and Monitoring - Regular inspections by local experts help detect early signs of ant activity and prevent future invasions.

Customized Pest Management Plans - Service providers develop tailored plans to address specific ant problems and ensure long-term control solutions.

Ants Extermination Service

Considering Ants Extermination Service for a property in Hutchins, TX? The sections above highlight common project types, practical options, and details that often shape the scope of work.

When you are ready, use the quote form to share a few details about your project. Local pros can review the basics and respond with options that match what you have in mind.

Get an Ants Extermination Service Quote

Ants Extermination Quotes

Our Trusted Partners
Cantu Pest Control
Orkin
Hawx Pest Control
Mosquito Shield