Local Service Overview

Get Ants Extermination Service in Sachse, TX

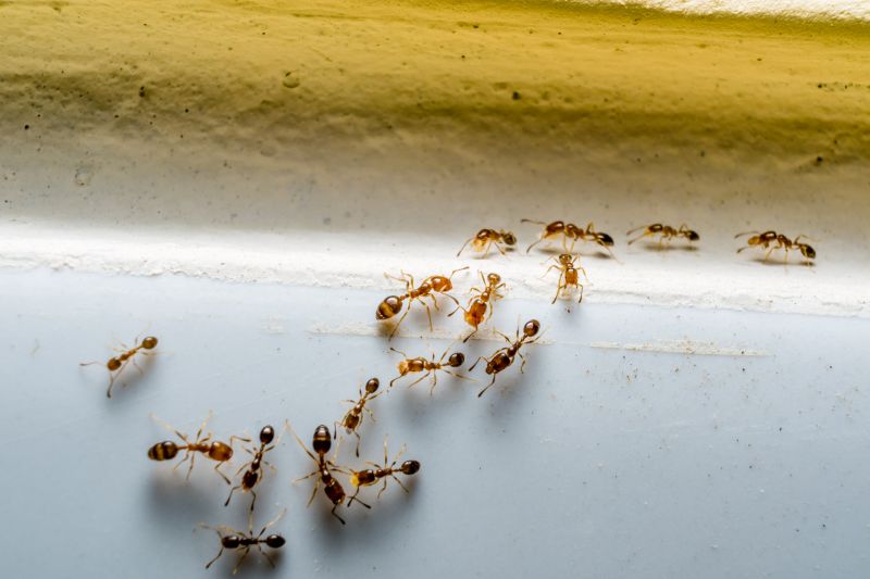
Ants extermination services for property owners in Sachse, TX, and nearby areas address ant infestations, prevent future invasions, and handle residential and commercial pest control projects.

Sachse, TX

Ants extermination services provide property owners in Sachse, TX with effective solutions to manage ant infestations and prevent future issues. By addressing ant problems promptly, homeowners can enjoy greater comfort and peace of mind, knowing their living spaces are free from unwanted pests. These services help maintain the functionality of a property by protecting structures from potential damage caused by invasive colonies, while also enhancing curb appeal by keeping outdoor areas tidy and pest-free.

Choosing professional ant extermination offers several practical benefits, including increased safety by reducing the risk of ant-related bites or contamination. Property owners often seek durable results that minimize recurring infestations and reduce ongoing maintenance efforts. Additionally, a pest-free environment contributes to a more inviting home exterior, supporting overall property value and visual appeal.

Get Ants Extermination Service Quotes

  • Ants Extermination - When encountering a sudden ant invasion in residential or commercial spaces in Sachse, TX and surrounding areas.
  • Ants Extermination - For persistent ant problems that require professional treatment to eliminate colonies effectively.
  • Ants Extermination - In cases where ant activity is observed near food storage or pantry areas, indicating a need for specialized pest control.
  • Ants Extermination - When ant nests are found outdoors, close to foundations or landscaping, requiring targeted removal services.
  • Ants Extermination - If ant trails are visible inside a property, signaling an ongoing infestation that needs prompt professional intervention.

Get Ants Extermination Service Quotes

Ants Extermination Service
Ants Extermination Service
Ants Extermination Service

Ants extermination services involve the identification and removal of ant infestations within residential, commercial, or industrial properties. These services typically include thorough inspections to locate ant colonies and entry points, followed by targeted treatments designed to eliminate the pests effectively. The methods used may involve baits, sprays, or dust applications, depending on the severity of the infestation and the specific ant species involved. The goal is to reduce ant populations and prevent future invasions, ensuring a pest-free environment.

Ant problems can cause significant inconveniences and potential property damage, especially when colonies establish themselves indoors or in structural areas. Common issues include ants contaminating food supplies, creating unsightly trails, and nest-building in walls or foundations. In some cases, ants can also be a sign of underlying moisture or structural issues that need addressing. Professional extermination services help resolve these problems by removing the pests and implementing measures to deter their return, promoting a cleaner and healthier living or working space.

Properties that often utilize ants extermination services include single-family homes, apartment complexes, restaurants, and retail stores. Residential properties are frequently affected by ant invasions due to easy access points like cracks, vents, or gaps around doors and windows. Commercial properties, especially food establishments, require regular pest control to maintain sanitation standards and comply with health regulations. Additionally, warehouses and storage facilities housing food products or other materials susceptible to pest damage may also seek professional extermination to protect their inventory.

Engaging local pest control providers for ants extermination offers tailored solutions suited to the specific needs of each property type. These professionals are equipped to handle various infestation levels and ant species, ensuring effective removal and ongoing prevention. Whether dealing with a minor indoor nuisance or a widespread outdoor invasion, property owners can benefit from expert assistance to manage ant problems efficiently. Contacting local service providers can help identify the most appropriate treatment options and establish a pest management plan that addresses current issues and minimizes future risks.

The overview below groups typical Ants Extermination Service projects into broad ranges so you can see how smaller, mid-sized, and larger jobs often compare in Sachse, TX.

In many markets, a large share of routine jobs stays in the lower and middle ranges, while only a smaller percentage of projects moves into the highest bands when the work is more complex or site conditions are harder than average.

Initial Inspection - The cost for an ant extermination inspection typically ranges from $50 to $150. This fee often covers the assessment of the infested area and identification of ant species.

Basic Treatment - Standard ant extermination services usually cost between $100 and $300. Prices depend on the size of the affected area and the complexity of the infestation.

Treatment for Severe Infestations - For extensive ant problems, costs can range from $200 to $500. This may include multiple visits and advanced treatment methods.

Follow-Up Services - Follow-up visits to ensure the ants are eradicated typically cost between $50 and $150 each. The number of visits needed varies with the severity of the infestation.

Actual totals will depend on details like access to the work area, the scope of the project, and the materials selected, so use these as general starting points rather than exact figures.

Get an Ants Extermination Service Quote

Ants Extermination services involve professional removal methods to eliminate ant infestations in residential and commercial properties in Sachse, TX and nearby areas.

Local pest control providers specializing in ants use targeted treatments to address various species and prevent future invasions.

Ants Extermination services are suitable for properties experiencing persistent ant activity or recurring infestations despite previous attempts.

Service providers may assess entry points and implement exclusion techniques alongside extermination to reduce ant populations effectively.

Experts in ant control can recommend integrated approaches combining baiting and barrier treatments for long-term results.

Contacting local pros for Ants Extermination services ensures tailored solutions to meet specific property needs in Sachse and surrounding areas.

Ants Extermination Service

When selecting a pest control provider for ant extermination services, it’s important to consider the experience and reputation of local professionals. Homeowners can look for service providers with a proven track record in handling ant infestations, especially those familiar with the specific types of ants common in areas like Sachse, TX. Reputable references or reviews from previous clients can offer insights into the quality of service and reliability of the pros, helping homeowners make informed decisions based on trusted feedback.

Clear communication and well-defined expectations are essential when working with local ant extermination specialists. Pros should be transparent about their methods, what homeowners can expect during and after treatment, and any necessary preparations or follow-up steps. Establishing open lines of communication ensures that homeowners feel informed and comfortable throughout the process, reducing potential misunderstandings or surprises.

Since this platform introduces local options rather than performing the work directly, it’s important for homeowners to verify the credentials and reputation of the service providers they consider. Contacting multiple local pros allows for comparison of their experience, references, and communication style. This approach helps ensure that the selected professional aligns with the homeowner’s needs and expectations for effective and reliable ant extermination services.

Get an Ants Extermination Service Quote

Property owners in Sachse, TX use Ants Extermination Service services for practical projects around their homes and businesses. The sections below highlight everyday jobs and straightforward project options.

Ants Extermination Service
Ants Extermination Service

Ants extermination services are commonly sought by property owners in Sachse, TX when they notice an increasing ant presence indoors or around their property. Common situations include spotting trails of ants in kitchens, bathrooms, or along walls, which can indicate an active infestation. Property owners may also seek professional help if they observe ant mounds outside their homes or notice ants invading food storage areas, aiming to eliminate the problem before it worsens or causes further inconvenience.

In addition to immediate infestations, residents and business owners in Sachse may contact ants extermination specialists to prevent future issues. This is especially relevant in areas where seasonal changes or nearby landscaping can encourage ant activity. Professionals can assess the property to identify entry points and recommend targeted treatments, helping to maintain a pest-free environment and protect the property’s condition.

Get an Ants Extermination Service Quote

How do ant extermination services work? Ant extermination services typically involve inspecting the property to identify ant colonies and entry points, then applying targeted treatments to eliminate the ants and prevent future infestations.

Are the treatments safe for pets and children? Many ant extermination options are designed to be safe when applied properly; however, it is recommended to discuss safety concerns with the local service provider before treatment.

How long does an ant extermination treatment last? The duration of effectiveness varies depending on the treatment method and the extent of the infestation, with some services offering follow-up options for ongoing protection.

What should I do before the extermination service? It is advised to clear the area of food, dishes, and clutter around ant entry points to facilitate effective treatment and reduce the risk of re-infestation.

How can I prevent future ant problems? Local pest control providers can recommend preventive measures such as sealing entry points, removing food sources, and maintaining clean surroundings to reduce the likelihood of future ant issues.

Ants Extermination Techniques - Local service providers utilize various methods to eliminate ant infestations, including baiting and chemical treatments.

Inspection and Identification - Pros can identify ant species and assess the extent of the infestation to determine the most effective removal approach.

Preventive Strategies - Experts recommend sealing entry points and removing attractants to help prevent future ant problems.

Ongoing Monitoring - Regular inspections by local professionals can help maintain ant-free environments and address new issues promptly.

Ants Extermination Service

Considering Ants Extermination Service for a property in Sachse, TX? The sections above highlight common project types, practical options, and details that often shape the scope of work.

When you are ready, use the quote form to share a few details about your project. Local pros can review the basics and respond with options that match what you have in mind.

Get an Ants Extermination Service Quote

Ants Extermination Quotes

Our Trusted Partners
Cantu Pest Control
Orkin
Hawx Pest Control
Mosquito Shield