Local Service Overview

Get Ants Extermination Service in Dallas, TX

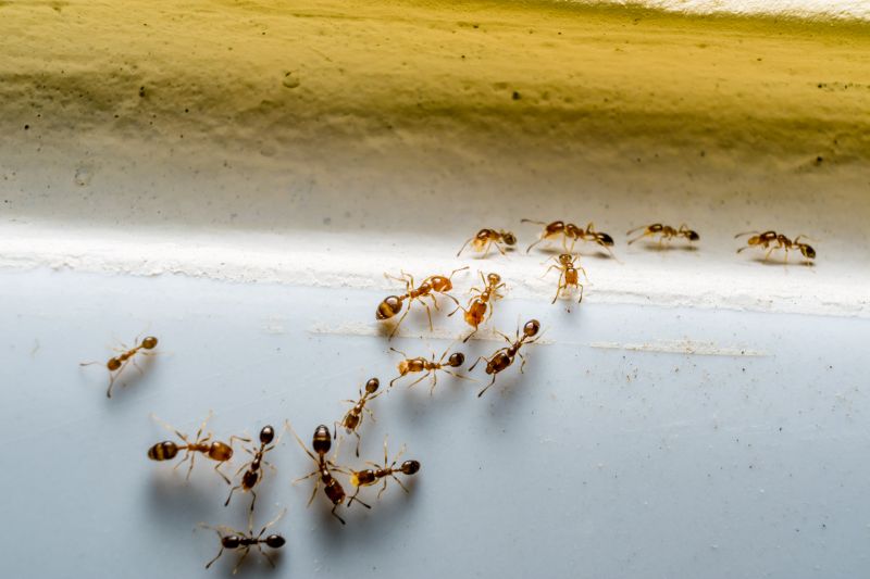
Ants extermination services for property owners in Dallas, TX, and nearby areas address ant infestations, including treatment of kitchens, yards, and structural pest control projects.

Dallas, TX

Ants extermination services in Dallas, TX, are essential for property owners seeking to maintain a comfortable and safe living or working environment. Ant infestations can compromise the functionality of a property by damaging structures, contaminating food supplies, and creating unsanitary conditions. Professional exterminators use targeted approaches to eliminate colonies effectively, helping to reduce ongoing maintenance needs and prevent future invasions. This not only enhances the overall curb appeal but also contributes to a more durable and well-maintained property.

Choosing expert ant extermination services offers benefits such as improved safety and peace of mind for residents and occupants. Property owners often look for solutions that provide long-lasting results, minimizing disruptions and ensuring their space remains free of pests. With professional assistance, it’s possible to achieve a healthier, more inviting environment that preserves the property's value and appearance over time.

Get Ants Extermination Service Quotes

  • Ant infestation removal - needed when ants invade kitchens, pantries, or other indoor spaces in residential or commercial properties.
  • Ant control services - suitable for situations where persistent ant colonies are affecting outdoor gardens or lawns.
  • Ant prevention treatments - recommended when property owners want to reduce the likelihood of future ant invasions in Dallas and surrounding areas.
  • Ant barrier applications - used to create a protective perimeter around buildings to keep ants from entering.
  • Ant nest elimination - essential when large ant nests are found in yards, under concrete, or near foundations.

Get Ants Extermination Service Quotes

Ants Extermination Service
Ants Extermination Service
Ants Extermination Service

Ants extermination services involve targeted treatments designed to eliminate ant colonies and prevent future infestations. These services typically include identifying the species of ants, locating their nests, and applying specialized solutions to eradicate the pests effectively. The process may involve the use of baits, sprays, or dusts that are strategically placed around the property to target the ants at their source. Professionals may also provide recommendations on sanitation and structural repairs to reduce attractants and entry points, helping to maintain a pest-free environment over time.

Ant infestations can cause a range of problems for property owners, from nuisance and inconvenience to potential health concerns. Ants can invade kitchens, pantries, and other areas where food is stored, contaminating supplies and creating unsanitary conditions. Certain species, such as fire ants, can pose more serious risks due to their painful stings and aggressive behavior. Extermination services aim to address these issues by removing the colonies and implementing ongoing prevention measures, reducing the likelihood of recurring problems.

Commercial properties, residential homes, and even outdoor spaces are common settings for ant extermination services. Homes in suburban neighborhoods often seek treatment to protect food storage areas and maintain comfort. Restaurants, grocery stores, and food processing facilities may require regular pest control to adhere to health standards and prevent contamination. Outdoor spaces like gardens, patios, and playgrounds can also benefit from professional pest management to control ant populations and protect landscaping or recreational areas.

Professional ant extermination services are designed to provide comprehensive solutions tailored to each property’s specific needs. Local pest control providers assess the extent of the infestation and recommend appropriate treatment plans. They often offer ongoing maintenance programs to monitor and control ant populations over time. Contacting a local pest management professional can help property owners effectively address ant issues and maintain a pest-free environment in both residential and commercial settings.

The overview below groups typical Ants Extermination Service projects into broad ranges so you can see how smaller, mid-sized, and larger jobs often compare in Dallas, TX.

In many markets, a large share of routine jobs stays in the lower and middle ranges, while only a smaller percentage of projects moves into the highest bands when the work is more complex or site conditions are harder than average.

Initial Inspection - The cost for an ant inspection typically ranges from $50 to $150, depending on the property size and complexity. This fee covers identifying the extent of the infestation and entry points. Some service providers include the inspection in the overall treatment cost.

Basic Treatment - Standard ant extermination services usually cost between $100 and $300 for a single treatment. Prices vary based on the size of the affected area and the severity of the infestation. Additional treatments may increase the total cost.

Extended Service Plans - Ongoing or preventative treatments can range from $200 to $500 annually. These plans often include multiple visits and monitoring to ensure ant control over time. Costs depend on the property's size and the level of service desired.

Specialized Treatments - For severe or hard-to-reach infestations, specialized services may cost $300 to $600 or more. These treatments might involve advanced techniques or products and are tailored to specific property needs. Pricing varies by the complexity of the situation.

Actual totals will depend on details like access to the work area, the scope of the project, and the materials selected, so use these as general starting points rather than exact figures.

Get an Ants Extermination Service Quote

Ants Extermination - Local pest control providers offer ant extermination services to eliminate infestations in residential and commercial properties. They utilize targeted treatments to address ant colonies effectively.

Ants Prevention - Service providers can assist with preventing future ant invasions through barrier treatments and advice on property sanitation. This helps maintain a pest-free environment over time.

Indoor Ant Control - Professionals specialize in treating indoor ant problems, focusing on eliminating colonies within walls, cabinets, and other hidden areas. They use safe and effective methods suitable for indoor spaces.

Outdoor Ant Control - Local pros provide outdoor ant control solutions to treat lawns, gardens, and surrounding areas, reducing the chances of ants entering the property. Treatments are designed to target nests and trails.

Ant Inspection Services - Pest control experts conduct thorough inspections to identify ant activity and locate nests, helping to develop targeted treatment plans. Inspections are essential for effective eradication.

Ant Treatment Plans - Service providers develop customized treatment plans based on the severity of the infestation and property layout. They apply a combination of methods to ensure comprehensive ant control.

Ants Extermination Service

When comparing local ant extermination service providers, experience is a key factor to consider. Homeowners should look for pros with a proven track record in handling ant infestations within their specific area, such as Dallas, TX, and surrounding communities. Established providers often have a history of successful treatments and familiarity with common ant species and local conditions, which can contribute to more effective solutions. Gathering information about how long a provider has been operating and their familiarity with local pest issues can help in assessing their level of expertise.

Clear communication and well-defined expectations are important when selecting a pest control professional. Reputable local pros typically provide detailed explanations of their treatment methods, what homeowners can expect during and after the service, and any necessary follow-up steps. Transparent communication helps ensure that homeowners understand the scope of work and can make informed decisions. It’s beneficial to inquire about how the provider handles questions or concerns, as responsive and open communication often reflects a commitment to customer satisfaction.

Reputable references and reviews are valuable resources for evaluating local ant extermination service providers. Homeowners should seek out recommendations from trusted sources or look for reviews that highlight consistent quality and professionalism. Reliable service providers often have a history of positive feedback from previous clients, which can offer insights into their reputation and the level of service delivered. Since this platform introduces local options rather than performs the work, it’s recommended to contact prospective pros directly to verify their credentials, discuss specific needs, and ensure their approach aligns with expectations.

Get an Ants Extermination Service Quote

Property owners in Dallas, TX use Ants Extermination Service services for practical projects around their homes and businesses. The sections below highlight everyday jobs and straightforward project options.

Ants Extermination Service
Ants Extermination Service

Ants extermination services are commonly sought by property owners in Dallas, TX when they notice ant activity indoors or outdoors. Common situations include discovering ant trails near kitchens, bathrooms, or entry points, or noticing nests in lawns and garden beds. Property owners may look for professional assistance to eliminate existing colonies and prevent future invasions, especially in areas where ants can interfere with daily activities or cause damage.

In addition to immediate infestations, residents and business owners in Dallas might seek ant extermination to address recurring problems or to protect food storage and structural integrity. Ants can be attracted by food crumbs, sugary spills, or moisture, making regular pest control a practical step for maintaining a clean and pest-free environment. Local service providers can offer targeted treatments tailored to the specific needs of the property, helping to manage ant populations effectively.

Get an Ants Extermination Service Quote

How do ant extermination services work? Ant extermination services typically involve inspecting the property to identify ant entry points and nests, then applying targeted treatments to eliminate the colony and prevent future infestations.

Are ant extermination treatments safe for pets and children? Many local pros use treatment methods that are safe for pets and children when applied according to safety guidelines; it is recommended to discuss safety concerns with the service provider.

How long does an ant extermination treatment usually last? The duration of effectiveness can vary based on the treatment method and extent of the infestation, with many treatments providing protection for several months.

Can ant extermination services prevent future infestations? Yes, professional treatments often include recommendations and measures to help prevent future ant invasions around the property.

How should I prepare my home before an ant extermination service? Preparation may involve cleaning the area, removing food and water sources, and following any specific instructions provided by the service provider to ensure effective treatment.

Ants Extermination Solutions - Local service providers offer targeted treatments to eliminate ant infestations effectively.

Inspection and Identification - Professionals can assess property conditions to identify ant entry points and nesting areas.

Preventive Strategies - Service providers recommend ongoing measures to reduce the likelihood of future ant problems.

Customized Treatment Plans - Local experts develop tailored approaches based on specific ant species and property needs.

Ants Extermination Service

Considering Ants Extermination Service for a property in Dallas, TX? The sections above highlight common project types, practical options, and details that often shape the scope of work.

When you are ready, use the quote form to share a few details about your project. Local pros can review the basics and respond with options that match what you have in mind.

Get an Ants Extermination Service Quote

Ants Extermination Quotes

Our Trusted Partners
Cantu Pest Control
Orkin
Hawx Pest Control
Mosquito Shield