Local Service Overview

Get Ants Extermination Service in Colleyville, TX

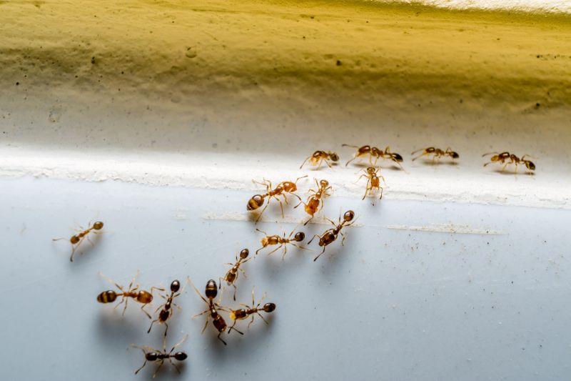
Ants extermination services for property owners in Colleyville, TX, and nearby areas address ant infestations, prevent future invasions, and handle residential and commercial pest control projects.

Colleyville, TX

Ants extermination services provide property owners in Colleyville, TX with effective solutions to manage and eliminate ant infestations. These services help maintain a clean and comfortable living or working environment by preventing ants from invading kitchens, dining areas, and other common spaces. Proper extermination can also protect property structures from potential damage caused by persistent ant colonies, ensuring the durability and integrity of the property over time.

Choosing professional ant extermination offers benefits such as reducing ongoing maintenance needs and enhancing curb appeal. Eliminating ants quickly and thoroughly helps preserve the aesthetic appeal of outdoor and indoor spaces, making properties more inviting. Additionally, effective pest control contributes to a sense of safety and peace of mind, allowing property owners to enjoy their spaces without concern about ant-related issues.

Get Ants Extermination Service Quotes

  • Ants Extermination Services - individuals experiencing invasive ant colonies inside their homes or businesses may seek professional extermination solutions.
  • Ants Prevention Services - property owners in areas like Colleyville, TX, and surrounding communities may need proactive measures to prevent ant infestations.
  • Ants Inspection Services - those suspecting an ant problem or noticing unusual activity can contact local pros for thorough inspections.
  • Ants Treatment Services - residents dealing with persistent ant issues that do not respond to DIY methods might consider professional treatment options.
  • Ants Barrier Services - property managers looking to establish effective barriers around structures to block ant entry can consult local specialists.

Get Ants Extermination Service Quotes

Ants Extermination Service
Ants Extermination Service
Ants Extermination Service

Ants extermination services involve identifying and eliminating ant infestations within residential, commercial, or industrial properties. These services typically include a thorough inspection to locate ant colonies and entry points, followed by targeted treatment methods to eradicate the pests. Professionals may use a combination of baiting systems, residual insecticides, and barrier applications to control and prevent future ant activity. The goal is to reduce ant populations effectively while minimizing disruption to the property and its occupants.

Ant infestations can cause a variety of problems, including property damage, contamination of food supplies, and general nuisance. Certain ant species, such as carpenter ants, are known to damage wood structures by hollowing out wood to build their nests. Additionally, ants can invade kitchens and pantries, contaminating food and creating unsanitary conditions. Addressing these issues promptly through professional extermination services helps prevent further damage and maintains a hygienic environment.

These services are commonly utilized in a range of property types, including single-family homes, apartment complexes, restaurants, and retail stores. Residential properties often require ant control to protect food storage areas and maintain comfort. Commercial establishments, especially those involved in food handling or preparation, seek professional extermination to ensure compliance with health standards and to prevent infestations that could disrupt operations. Even larger industrial facilities may engage pest control experts to manage ant populations in storage or manufacturing areas.

Engaging with local pest control providers for ants extermination services offers tailored solutions suited to specific property needs. These professionals assess the severity of the infestation, recommend appropriate treatment strategies, and implement measures to prevent future outbreaks. Properly managed ant control helps maintain property integrity, hygiene, and overall comfort, making it a valuable service for property owners facing ant-related challenges.

The overview below groups typical Ants Extermination Service projects into broad ranges so you can see how smaller, mid-sized, and larger jobs often compare in Colleyville, TX.

In many markets, a large share of routine jobs stays in the lower and middle ranges, while only a smaller percentage of projects moves into the highest bands when the work is more complex or site conditions are harder than average.

Initial Inspection Cost - Ant extermination inspections typically range from $50 to $150, depending on property size and complexity. For example, a standard residential inspection in Colleyville might cost around $75. This fee often covers identifying ant activity and entry points.

Basic Treatment Expenses - Basic ant extermination services usually cost between $100 and $300. A typical treatment for a small to medium-sized home might be around $150. Prices vary based on the extent of ant infestation and treatment methods used.

Comprehensive Pest Control Packages - Complete pest control packages that include ant extermination generally range from $200 to $600. Larger properties or severe infestations could cost closer to $400 or more. These packages often include follow-up visits and preventative measures.

Ongoing Service Costs - Regular maintenance or quarterly treatments for ant control can cost between $75 and $200 per visit. This ongoing service helps manage ant populations and prevent future invasions in residential areas. Costs depend on property size and treatment frequency.

Actual totals will depend on details like access to the work area, the scope of the project, and the materials selected, so use these as general starting points rather than exact figures.

Get an Ants Extermination Service Quote

Ants Extermination services connect homeowners with local pest control professionals experienced in eliminating ant infestations. These experts use targeted methods to address ant problems in residential and commercial properties.

Residential Ants Extermination providers specialize in treating homes to remove ant colonies and prevent future invasions, ensuring a pest-free living environment.

Commercial Ants Control services focus on safeguarding businesses by implementing effective ant management strategies tailored to commercial properties and their specific needs.

Eco-friendly Ants Removal options are available through local pros who utilize environmentally conscious techniques to control ant populations responsibly.

Emergency Ants Extermination services are accessible for urgent situations where immediate action is required to address severe ant infestations.

Pre-construction Ants Prevention services help protect new buildings from ant infestations by implementing preventative measures during the construction phase.

Ants Extermination Service

When evaluating ant extermination services in Colleyville, TX, it’s important to consider the experience of local professionals. Experienced providers typically have a history of handling a variety of ant infestations, which can contribute to more effective and tailored solutions. Homeowners can seek out references or reviews from previous clients to gain insight into a contractor’s familiarity with local ant species and their ability to manage different levels of infestation. While experience alone doesn’t guarantee results, it often correlates with a deeper understanding of regional pest behaviors and effective treatment methods.

Clear communication and well-defined expectations are essential when working with local ant extermination providers. Reputable service providers tend to offer detailed information about their process, what homeowners can expect during treatment, and any necessary follow-up. This transparency helps ensure that homeowners are informed and prepared for each step of the service. Establishing open lines of communication can also facilitate addressing any questions or concerns that may arise, leading to a smoother experience and better alignment between homeowner and contractor.

It’s also beneficial to explore how local pros establish their reputation within the community. Reputable providers often have references or reviews from local clients that can be verified through trusted sources. They may also demonstrate professionalism in their communication, responsiveness, and clarity about service options. Since this platform connects homeowners with local professionals rather than performing the work directly, it’s advisable to contact multiple providers to compare their experience, communication style, and references, helping to identify the best match for ant extermination needs in the Colleyville area.

Get an Ants Extermination Service Quote

Property owners in Colleyville, TX use Ants Extermination Service services for practical projects around their homes and businesses. The sections below highlight everyday jobs and straightforward project options.

Ants Extermination Service
Ants Extermination Service

Ants extermination services are commonly sought by property owners in Colleyville, TX, when ants become an intrusive presence around homes or commercial buildings. Common situations include noticing ant trails along walls, entry points near doors or windows, or discovering nests in gardens and landscaping. These services help address immediate concerns about ant colonies that may threaten comfort or hygiene, especially during warmer months when ant activity tends to increase.

Property owners may also look for ant extermination when noticing an increase in ant activity that affects outdoor living spaces or indoor spaces, such as kitchens and pantries. Persistent ant problems can lead to frustration and potential damage to structures or stored goods. Local service providers can assist in identifying the source of the infestation and implementing effective solutions to manage and prevent future ant issues.

Get an Ants Extermination Service Quote

How do ant extermination services work? Ant extermination services typically involve inspecting the property, identifying ant species and entry points, and applying targeted treatments to eliminate colonies and prevent future infestations.

Are ant treatments safe for pets and children? Many ant extermination methods are designed to be safe for homes with pets and children, but it is advisable to consult with local service providers about specific products used.

How long does an ant extermination treatment last? The effectiveness duration varies depending on the treatment type and extent of the infestation; local pros can provide guidance tailored to individual situations.

Can ants return after treatment? While treatments aim to eliminate existing colonies, ants can return if new entry points or food sources are available, so ongoing prevention may be recommended.

How do I prepare my home for ant extermination services? Preparation typically involves cleaning the area, removing food and water sources, and following any specific instructions provided by the service provider to ensure effective treatment.

Ants Identification and Prevention - Local service providers can assess ant activity and recommend preventive measures to reduce future infestations.

Ant Extermination Treatments - Professionals utilize targeted treatments to eliminate ant colonies and minimize the risk of re-infestation.

Inspection and Monitoring - Experts perform thorough inspections to identify ant entry points and monitor for signs of ongoing activity.

Barrier and Exclusion Solutions - Service providers can install barriers and exclusion methods to prevent ants from entering residential or commercial properties.

Ants Extermination Service

Considering Ants Extermination Service for a property in Colleyville, TX? The sections above highlight common project types, practical options, and details that often shape the scope of work.

When you are ready, use the quote form to share a few details about your project. Local pros can review the basics and respond with options that match what you have in mind.

Get an Ants Extermination Service Quote

Ants Extermination Quotes

Our Trusted Partners
Cantu Pest Control
Orkin
Hawx Pest Control
Mosquito Shield