Local Service Overview

Get Black Ant Extermination in Mesquite, TX

Black ant extermination services for Mesquite, TX, property owners typically address ant infestations in homes and businesses through targeted removal and prevention projects.

Mesquite, TX

Black ant extermination services are a practical solution for property owners in Mesquite, TX seeking to maintain a comfortable and pest-free environment. Effective ant control can enhance the safety and functionality of a home or business by preventing infestations that may cause structural damage or contaminate food supplies. Additionally, professional extermination helps reduce ongoing maintenance needs, saving time and effort while ensuring the property remains inviting and well-maintained.

Choosing expert ant extermination can also boost curb appeal by creating a clean, pest-free exterior. Property owners often look for durable solutions that provide long-lasting results, minimizing the likelihood of future ant problems. Engaging local service providers ensures tailored approaches suited to the specific conditions of Mesquite, TX, offering peace of mind that pest issues are addressed effectively and reliably.

Get Black Ant Extermination Quotes

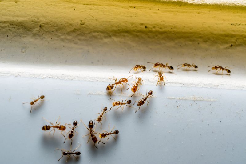
  • Black Ant Extermination - Needed when black ants invade kitchens, pantries, or other indoor spaces in Mesquite, TX and nearby areas.
  • Black Ant Extermination - Required if black ants are forming large colonies outdoors around residential or commercial properties.
  • Black Ant Extermination - Necessary when black ants persist despite basic cleaning and DIY efforts in local homes or businesses.
  • Black Ant Extermination - Essential if black ants are contaminating food supplies or causing nuisance in food service establishments.
  • Black Ant Extermination - Recommended when black ant activity is observed around foundation walls, gardens, or outdoor structures in the region.

Get Black Ant Extermination Quotes

Black Ant Extermination
Black Ant Extermination
Black Ant Extermination

Black ant extermination services focus on identifying and eliminating black ant colonies within residential and commercial properties. These services typically involve thorough inspections to locate ant nests and entry points, followed by targeted treatments using specialized products. Exterminators may apply baiting systems, residual sprays, or dusts to effectively reduce or eradicate ant populations. The goal is to provide a comprehensive solution that prevents ongoing infestations and addresses the root of the problem.

Black ants can pose significant problems for property owners, especially when they invade kitchens, pantries, or other areas where food is stored. Their presence can lead to unsanitary conditions and potential contamination of food supplies. In some cases, black ants may also cause structural damage by nesting within wall voids or beneath flooring. Extermination services help mitigate these issues by removing the pests and implementing measures to prevent future invasions.

Properties that commonly utilize black ant extermination services include residential homes, apartment complexes, restaurants, and food storage facilities. Homes with accessible entry points, such as cracks or gaps around windows and doors, are particularly vulnerable. Commercial properties involved in food preparation or storage often seek professional pest control to maintain hygiene standards and comply with health regulations. Regardless of property type, regular inspections and treatments can help manage ant populations effectively.

Engaging with local pest control providers for black ant extermination can offer tailored solutions based on the severity of the infestation and the specific property layout. These professionals assess the extent of the problem, recommend appropriate treatment methods, and provide ongoing monitoring if necessary. Proper extermination and prevention strategies can help property owners maintain a pest-free environment and reduce the likelihood of recurring ant issues.

The overview below groups typical Black Ant Extermination projects into broad ranges so you can see how smaller, mid-sized, and larger jobs often compare in Mesquite, TX.

In many markets, a large share of routine jobs stays in the lower and middle ranges, while only a smaller percentage of projects moves into the highest bands when the work is more complex or site conditions are harder than average.

Initial Inspection and Treatment - The cost for a black ant extermination service typically ranges from $150 to $300 for an inspection and initial treatment. Prices vary based on the size of the affected area and the severity of the infestation.

Ongoing Pest Control Plans - Monthly or quarterly pest control plans for black ant management generally cost between $40 and $70 per visit. These plans include regular treatments to prevent future infestations.

Per-Infestation Service - For a single black ant infestation, service costs can range from $100 to $250, depending on the extent of the problem and the treatment methods used.

Additional Services and Follow-Ups - Follow-up visits or additional treatments after the initial service may add $50 to $150 per session. Costs vary based on the complexity and size of the infestation area.

Actual totals will depend on details like access to the work area, the scope of the project, and the materials selected, so use these as general starting points rather than exact figures.

Get a Black Ant Extermination Quote

Black Ant Extermination services involve professionals who specialize in identifying and eliminating black ant infestations in residential and commercial properties in Mesquite, TX and nearby areas.

Local pros offering black ant extermination provide targeted treatments to remove colonies and prevent future invasions, ensuring a pest-free environment.

These services include thorough inspections to locate ant nests and the application of effective eradication methods tailored to specific property needs.

Exterminators may also offer advice on reducing attractants and maintaining a property to minimize black ant activity over time.

Black ant extermination experts utilize proven techniques to address infestations promptly and efficiently, helping to protect property and health.

Contacting local pest control providers ensures access to professional solutions for managing black ant problems effectively.

Black Ant Extermination

When choosing a professional for Black Ant Extermination services, it is important to consider their experience in handling ant infestations, particularly with local pest populations. Homeowners should look for providers who have a proven track record in managing ant issues similar to those in the Mesquite, TX area. Clear communication about their methods, treatment plans, and expectations can help ensure the homeowner understands what to expect during the service process. Reputable references or reviews from previous clients can also offer insights into the quality and reliability of the service provider.

Homeowners are encouraged to review how local pros present their written expectations and service details. Detailed descriptions of the extermination process, follow-up procedures, and any necessary preparations can help set appropriate expectations. It is advisable to seek out providers who are transparent about their approach and willing to provide clear, written information about what the service entails. This transparency can assist in making an informed decision and ensure that the homeowner’s specific needs are addressed.

Communication plays a key role in selecting a pest control professional. Pros who are responsive and willing to answer questions about their experience, methods, and service process demonstrate professionalism and reliability. While the site introduces local options, it is important to remember that it connects homeowners with independent service providers and does not perform the work itself. Homeowners should contact the local pros directly to discuss their specific ant issues, verify their reputation, and ensure they feel confident in the provider’s ability to meet their expectations.

Get a Black Ant Extermination Quote

Property owners in Mesquite, TX use Black Ant Extermination services for practical projects around their homes and businesses. The sections below highlight everyday jobs and straightforward project options.

Black Ant Extermination
Black Ant Extermination

Black ant extermination services are often sought by property owners in Mesquite, TX, when ants become a persistent nuisance around homes and businesses. Common situations include discovering large ant colonies invading kitchens, bathrooms, or outdoor areas, especially during warmer months. Property owners may look for professional help to effectively eliminate these pests and prevent future infestations, ensuring a clean and comfortable living or working environment.

In addition to visible ant activity, property owners might turn to local extermination experts when encountering signs of ant nests or unusual ant behavior that could indicate a larger infestation. These services are also considered when previous DIY efforts have failed, or when property owners want to address the issue safely and thoroughly. Reliable local providers can assess the situation and recommend appropriate treatment options to manage ant problems efficiently.

Get a Black Ant Extermination Quote

Why are black ants attracted to my home? Black ants are often drawn to food sources, water, and shelter around residential properties, making homes an inviting environment for them.

How do extermination services eliminate black ants? Local pest control providers typically use targeted treatments to remove black ant colonies and prevent future infestations.

Are black ant infestations difficult to control? Black ant infestations can vary in difficulty; professional services are recommended to effectively address large or persistent colonies.

What signs indicate a black ant problem? Visible ant trails, increased ant activity indoors, and the presence of ant mounds outdoors are common indicators of an infestation.

How can I prevent black ants from returning? Proper sanitation, sealing entry points, and consulting with local pest control providers can help minimize the risk of future infestations.

Black Ant Identification - Learn how to recognize black ants and understand their behavior to better inform extermination strategies.

Extermination Methods - Explore various black ant removal techniques used by local service providers to effectively eliminate infestations.

Preventive Measures - Discover tips and recommendations for preventing future black ant problems around property perimeters.

Choosing a Professional - Find guidance on selecting experienced local extermination specialists for black ant control services.

Black Ant Extermination

Considering Black Ant Extermination for a property in Mesquite, TX? The sections above highlight common project types, practical options, and details that often shape the scope of work.

When you are ready, use the quote form to share a few details about your project. Local pros can review the basics and respond with options that match what you have in mind.

Get a Black Ant Extermination Quote

Black Ant Extermination Quotes

Our Trusted Partners
Cantu Pest Control
Orkin
Hawx Pest Control
Mosquito Shield