Local Service Overview

Get Ants Extermination Service in Flower Mound, TX

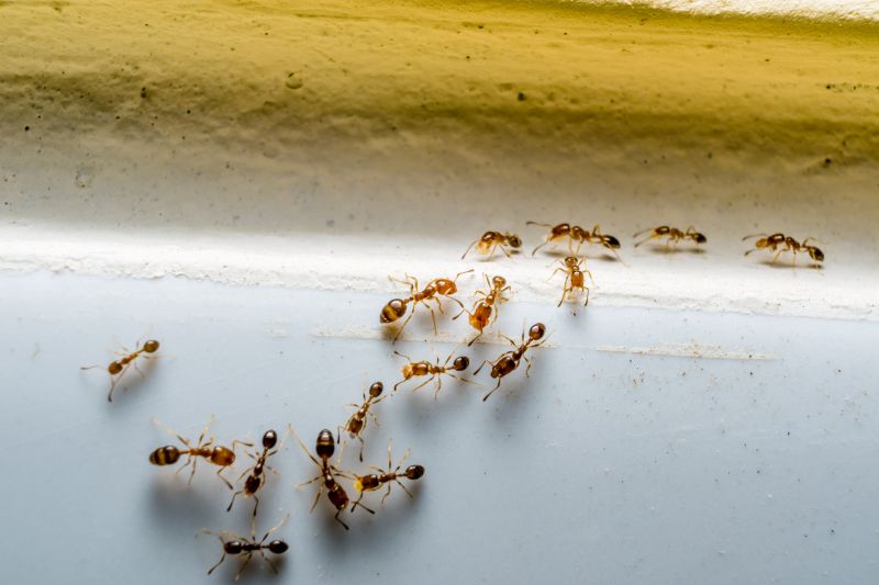
Ants extermination services for Flower Mound, TX, property owners address ant infestations, prevent future invasions, and handle residential and commercial pest control projects.

Flower Mound, TX

Ants extermination services provide property owners in Flower Mound, TX with effective solutions to manage and eliminate ant infestations. These services help maintain a comfortable living or working environment by preventing ants from invading indoor spaces, which can be a common nuisance. Additionally, professional extermination contributes to safety by reducing the presence of pests that may carry bacteria or cause structural damage, ensuring the property remains functional and inviting.

Choosing professional ant control also offers benefits related to durability and reduced maintenance. Proper treatment helps prevent future infestations, preserving the integrity of the property’s structure and minimizing ongoing pest management efforts. Enhanced curb appeal is another advantage, as a pest-free exterior creates a cleaner, more attractive appearance for homes and businesses alike. Contacting local service providers can help property owners achieve lasting pest control results tailored to the needs of Flower Mound residents.

Get Ants Extermination Service Quotes

  • Ant Infestation Removal - needed when ants invade indoor living spaces in neighborhoods across Flower Mound, TX and nearby areas.
  • Ant Nest Elimination - required when ants establish nests outdoors in yards, gardens, or along building foundations.
  • Kitchen and Pantry Ant Control - necessary when ants are found contaminating food storage areas in residential or commercial kitchens.
  • Perimeter Ant Treatments - used to create a barrier around properties to prevent ant entry and recurring infestations.
  • Seasonal Ant Prevention - advised during warmer months when ant activity tends to increase in the Flower Mound region and surrounding communities.

Get Ants Extermination Service Quotes

Ants Extermination Service
Ants Extermination Service
Ants Extermination Service

Ants extermination services involve professional treatment methods aimed at eliminating ant colonies from residential, commercial, or industrial properties. Service providers typically conduct thorough inspections to identify the type of ants present and locate their nests and entry points. Treatment plans may include the application of targeted baits, insecticidal dusts, or liquid sprays designed to eradicate ants at various stages of their life cycle. The goal is to reduce ant populations effectively and prevent future invasions, ensuring a pest-free environment for occupants.

These services help address common problems associated with ant infestations, such as property damage, contamination of food supplies, and general nuisance. Ants can invade kitchens, pantries, and other areas where food is stored or prepared, leading to hygiene concerns. Additionally, certain species, like fire ants, pose health risks through painful stings and allergic reactions. Professional extermination services focus on controlling these pests to mitigate health hazards and maintain a clean, comfortable living or working space.

Properties that typically utilize ant extermination services include single-family homes, apartment complexes, restaurants, and retail stores. Residential properties are often affected by ant invasions seeking food and water sources, especially during warmer months. Commercial establishments, particularly those involved in food handling or storage, rely on pest control to meet health standards and prevent business disruptions. In multi-unit buildings, professional pest management helps address infestations that can quickly spread between units if not treated promptly.

Engaging with local pest control providers ensures access to tailored ant extermination solutions suited to specific property types and infestation severity. These professionals use industry-standard techniques to remove existing ant populations and implement preventative measures to reduce the likelihood of future invasions. Property owners and managers seeking effective ant control can contact local service providers to discuss their needs and arrange for appropriate treatment plans.

The overview below groups typical Ants Extermination Service projects into broad ranges so you can see how smaller, mid-sized, and larger jobs often compare in Flower Mound, TX.

In many markets, a large share of routine jobs stays in the lower and middle ranges, while only a smaller percentage of projects moves into the highest bands when the work is more complex or site conditions are harder than average.

Initial Inspection - The cost for a basic ant inspection typically ranges from $50 to $150, depending on the property's size and location. Some providers may include a follow-up visit within this fee. Additional treatment costs are usually separate.

Per-Visit Treatment - Single-visit ant treatments often cost between $100 and $300, covering the application of ant baits and barriers. Prices can vary based on the extent of the infestation and property size.

Monthly Service Plans - Ongoing ant control plans generally range from $40 to $80 per month. These plans often include regular treatments and inspections to prevent future ant problems.

One-Time Extermination - A comprehensive one-time ant extermination service usually costs between $150 and $400, depending on the severity of the infestation and the treatment methods used. Additional charges may apply for large or complex properties.

Actual totals will depend on details like access to the work area, the scope of the project, and the materials selected, so use these as general starting points rather than exact figures.

Get an Ants Extermination Service Quote

Ants Extermination services involve professionals who utilize targeted methods to eliminate ant colonies effectively. These services are suitable for residential and commercial properties experiencing ant infestations.

Ants Control providers offer customized treatment plans to address specific ant species and infestation levels. They focus on preventing future ant problems through comprehensive approaches.

Ants Pest Management solutions include inspection, identification, and application of appropriate removal techniques. Local pros work to reduce ant populations and protect property structures.

Ants Removal services are performed by specialists who employ safe and effective methods to eradicate ants from indoor and outdoor spaces. They aim to restore comfort and hygiene to affected areas.

Ants Eradication experts use a combination of treatments and preventative measures to eliminate existing ant colonies. These services help maintain pest-free environments over time.

Ants Infestation Treatment involves professionals addressing severe ant problems with targeted solutions. They focus on controlling the infestation and minimizing disruption to property occupants.

Ants Extermination Service

When comparing local professionals for ant extermination services, experience is a key factor to consider. It can be helpful to review how long a service provider has been operating in the Flower Mound area and nearby communities, as well as their familiarity with common ant species and local conditions. An experienced contractor is more likely to understand effective treatment methods and how to address ongoing ant issues efficiently, which can contribute to a more successful outcome.

Clear communication and well-defined expectations are also important when selecting a local pest control provider. Reputable service providers typically outline their treatment approaches, what homeowners can expect during and after the service, and any necessary follow-up steps. This transparency helps ensure that homeowners are informed about the process and can make decisions aligned with their needs and concerns.

References and reputation can offer additional insight into a contractor’s reliability and quality of service. Seeking out local references or reviews from previous clients can help gauge a provider’s track record. Many reputable professionals have established relationships within the community and can provide examples of successful ant extermination projects. When evaluating options, it’s beneficial to consider how effectively the contractor communicates, their professionalism, and the consistency of positive feedback from past customers.

Get an Ants Extermination Service Quote

Property owners in Flower Mound, TX use Ants Extermination Service services for practical projects around their homes and businesses. The sections below highlight everyday jobs and straightforward project options.

Ants Extermination Service
Ants Extermination Service

Ants Extermination Service providers are often sought by property owners in Flower Mound, TX, dealing with common pest issues that can disrupt daily life. Whether ants are invading kitchens, pantry areas, or outdoor spaces, many residents look for professional assistance to eliminate these persistent pests effectively. These services are frequently needed during warmer months when ant activity increases, helping homeowners maintain a clean and comfortable living environment.

Property owners may also seek ant extermination services to prevent future infestations and protect their properties from potential damage. Ants can sometimes be a sign of underlying issues, such as moisture problems or food source accessibility, prompting residents to contact local pros for targeted treatments. Engaging with experienced service providers can help manage ant populations efficiently, ensuring a pest-free home or business in Flower Mound, TX.

Get an Ants Extermination Service Quote

How do ant extermination services work? Ant extermination services typically involve inspecting the property to identify ant entry points and nests, followed by targeted treatments to eliminate the colony and prevent future infestations.

Are ant extermination treatments safe for pets and children? Many extermination methods are designed to be safe when applied properly; it is recommended to discuss safety concerns with local service providers before treatment.

How long does an ant extermination treatment take? The duration of treatment varies depending on the extent of the infestation and the methods used, but most services aim to complete the process efficiently.

Will the ant problem return after treatment? While treatments can effectively eliminate existing colonies, ongoing prevention measures may be advised to reduce the risk of future ant issues.

How can I prevent ants from returning after treatment? Local pest control professionals often recommend sealing entry points, removing food sources, and maintaining a clean environment to help prevent future ant problems.

Ants Identification - Local pest control providers can assess the extent of ant infestations to determine the most effective treatment options.

Extermination Solutions - Professionals offer a range of ant removal methods tailored to specific types of ants and property conditions.

Preventive Treatments - Service providers can implement barriers and treatments to reduce the likelihood of future ant invasions.

Inspection and Consultation - Experts can evaluate property vulnerabilities and recommend ongoing strategies for ant control.

Ants Extermination Service

Considering Ants Extermination Service for a property in Flower Mound, TX? The sections above highlight common project types, practical options, and details that often shape the scope of work.

When you are ready, use the quote form to share a few details about your project. Local pros can review the basics and respond with options that match what you have in mind.

Get an Ants Extermination Service Quote

Ants Extermination Quotes

Our Trusted Partners
Cantu Pest Control
Orkin
Hawx Pest Control
Mosquito Shield